Apoderiger banari
| Apoderiger banari | |
|---|---|
|   | |
| Scientific classification   | |
| Kingdom: | Animalia | 
| Phylum: | Arthropoda | 
| Class: | Insecta | 
| Order: | Coleoptera | 
| Suborder: | Polyphaga | 
| Infraorder: | Staphyliniformia | 
| Family: | Staphylinidae | 
| Genus: | Apoderiger | 
| Species: | A. banari | 
| Binomial name | |
| Apoderiger banari Hlaváč, 2025 | |
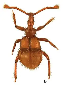
Apoderiger banari is a species of beetle of the Staphylinidae family. This species is found in Madagascar (Anjozorobe).
Adults reach a length of about 1.65–1.70 mm and have a yellowish-brown body.
Etymology
The species is named after a good friend of the author, Peter Baňař, who collected many pselaphines in Madagascar.[1]