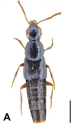
Quedius semilaeviventris
| Quedius semilaeviventris | |
|---|---|
| |
| Scientific classification | |
| Kingdom: | Animalia |
| Phylum: | Arthropoda |
| Class: | Insecta |
| Order: | Coleoptera |
| Suborder: | Polyphaga |
| Infraorder: | Staphyliniformia |
| Family: | Staphylinidae |
| Genus: | Quedius |
| Species: | Q. semilaeviventris |
| Binomial name | |
| Quedius semilaeviventris Scheerpeltz, 1965 | |
| Synonyms | |
| |
Quedius semilaeviventris is a species of beetle of the family Staphylinidae. It is found in Nepal, Myanmar (Kachin) and China (Yunnan).[1]
_semilaeviventris.jpg)