Neolindus triangularis
Neolindus triangularis | |
---|---|
![]() | |
Scientific classification ![]() | |
Kingdom: | Animalia |
Phylum: | Arthropoda |
Class: | Insecta |
Order: | Coleoptera |
Suborder: | Polyphaga |
Infraorder: | Staphyliniformia |
Family: | Staphylinidae |
Genus: | Neolindus |
Species: | N. triangularis |
Binomial name | |
Neolindus triangularis Guzman, Tokareva & Żyła, 2024 |
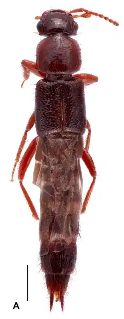
Neolindus triangularis is a species of beetle of the family Staphylinidae. This species is known from the type locality in French Guiana (Saint-Laurent-du-Maroni, Saül, Monts La Fumée), the surrounding forest, and an area around 130 km south-east from the type locality (Cayenne, Matoury).
Description
Adults have a brown head and pronotum, while the legs are light brown and the abdomen is brown.
Etymology
The species name is derived from Latin triangulus (meaning a triangle) and refers to the form of the median lobe of the aedeagus.[1]