Typhoon Rammasun
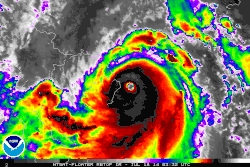
![]() Rammasun at peak intensity nearing Hainan on July 18 | |
Meteorological history | |
---|---|
Formed | July 9, 2014 |
Dissipated | July 20, 2014 |
Very strong typhoon | |
10-minute sustained (JMA) | |
Highest winds | 165 km/h (105 mph) |
Lowest pressure | 935 hPa (mbar); 27.61 inHg |
Category 5-equivalent super typhoon | |
1-minute sustained (SSHWS/JTWC) | |
Highest winds | 260 km/h (160 mph) |
Lowest pressure | 918 hPa (mbar); 27.11 inHg |
Super typhoon | |
2-minute sustained (CMA) | |
Highest winds | 255 km/h (160 mph) |
Lowest pressure | 888 hPa (mbar); 26.22 inHg |
Overall effects | |
Fatalities | 225 total |
Damage | $8.08 billion (2014 USD) |
Areas affected |
|
IBTrACS | |
Part of the 2014 Pacific typhoon season |
Typhoon Rammasun, known in the Philippines as Typhoon Glenda, was a powerful typhoon that is one of the only four Category 5 super typhoons on record in the South China Sea, with the other ones being Pamela in 1954, Rai in 2021 and Yagi in 2024. Rammasun had destructive impacts across the Philippines, South China, and Vietnam in mid July 2014. It was the strongest typhoon to hit the Chinese province of Hainan since Damrey in 2005. Rammasun is a Thai word for thunder god.[1] After Lingling and Kajiki earlier in 2014, Rammasun became the third tropical cyclone, and first typhoon to directly impact the Philippines in 2014. The ninth named storm and the third typhoon of the annual typhoon season, Rammasun formed in the Intertropical Convergence Zone, an area near the equator where the northeast and southeast trade winds come together, and slowly drifted northwest. Having passed through the islands of Micronesia, the system turned west and quickly moved under the influence of a subtropical ridge (STR). Rammasun posed a significant threat to Luzon, as it was expected to reach typhoon intensity before making landfall there.[2] Though initially forecast to make landfall in Cagayan Valley, the storm followed a more westerly path and was later forecast to make landfall in Rapu-Rapu, Albay in Bicol Region and then pass through Bataan and Zambales before brushing past Metro Manila.[3]
In preparation for the storm, Governor of Guam Eddie Calvo declared the island in Condition of Readiness 3[4] and later upgraded it to Condition of Readiness 1. On July 11, NASA satellites revealed Rammasun passing directly over Guam.[5] The American National Weather Service stated that an unexpected rise in wind shear kept the system from intensifying much further before reaching Guam. Rammasun only made landfall on Guam as a tropical depression, with winds much weaker than earlier anticipated.[6] However, under the system, the island received a substantial amount of rainfall, making that day the wettest in around 3 months. The United States territory received 25 to 50 mm (0.98 to 1.97 in) of rain.[7] Along with the Philippines, Taiwan also expected impact from Rammasun. Moderate to heavy rainfall was predicted through most of the country.[8][9] Chinese meteorologists were focusing on second and/or third landfalls in the Chinese Hainan province and northern Vietnam. Residents of Hong Kong were also warned of rainfall and subsequent landslides.[10]
Following the closure of maritime seaports, more than 100 passengers were reportedly stranded at the Port of Batangas, along with 39 rolling cargoes. Meanwhile, at least 841 passengers were stranded in five ports in the Bicol region, namely Matnog, Tabaco, Bulan, Cataingan and Pilar.[11] A total 50 flights were cancelled and over 100 thousand families were evacuated as the typhoon neared landfall.[12][13] The Philippine Department of Health said that they have prepared all government hospitals to aid the rescue and relief process during and after the typhoon. They claimed that they are much better prepared now, than they were for earlier typhoons.[14] Ahead of the landfall, a city in the province of Albay had declared a state of calamity.[15] At around 17:00 Philippine Standard Time (09:00 UTC), Rammasun's eye passed directly over Rapu-Rapu, Albay while the storm was at its initial peak intensity.[16] Various parts of the National Capital Region reported power outages during the storm. They were reportedly caused by "a temporary system balance at 1:29 a.m. due to a sudden plant outage."[17] Laguna is one of the badly hit by the typhoon[18] At least 6,000 people were stranded at various seaports throughout the country due to the storm.[19]
Meteorological history

Tropical storm (39–73 mph, 63–118 km/h)
Category 1 (74–95 mph, 119–153 km/h)
Category 2 (96–110 mph, 154–177 km/h)
Category 3 (111–129 mph, 178–208 km/h)
Category 4 (130–156 mph, 209–251 km/h)
Category 5 (≥157 mph, ≥252 km/h)
Unknown

On July 9, the United States Joint Typhoon Warning Center (JTWC) started to monitor a tropical disturbance, that had developed to the east of the Micronesian State of Chuuk.[20] At this time the system had a broad and ill-defined circulation center which was associated with flaring and disorganized atmospheric convection.[20] Over the next day the system gradually consolidated within an area of favorable conditions, with convection wrapping around the systems obscured low level circulation center.[21] The system was subsequently declared a tropical depression during the next day, by both the Japan Meteorological Agency (JMA) and the JTWC with the latter assigning it the designation 09W.[22][23]

Early on July 11, the JTWC reported that the system had intensified into a tropical storm, after they had assessed the intensity slightly higher than the Dvorak estimates from various agencies.[24] Later that day as the system approached Guam, the JTWC reported that the system had not intensified into a tropical storm and downgraded it to a tropical depression.[25] This was because of the lack of supporting Dvorak estimates from various agencies and various observations from Guam, that showed the system was a poorly defined low level circulation center with deep convection sheared to the northwest of the center.[25] Early on July 12, the JMA reported that the depression had become a tropical storm and named it Rammasun, as the system passed through the Rota Channel to the north of Guam.[26][27] Later that day as Rammasun moved westwards under the influence of the subtropical ridge of high pressure, the JTWC reported that it had regained tropical storm status after Dvorak estimates from various agencies supported it and the low level structure of the system had improved.[28]
Rammasun entered the Philippine area of responsibility and was given a local name, Glenda on July 13.[29] The storm maintained intensity while a burst of deep central convection developed and the LLCC became slightly more well defined.[30] Over the next couple of hours, vertical wind shear decreased gradually. Rammasun tracked in a westerly direction along the periphery of the steering subtropical ridge. Outflow improved along the southwestern quadrant[31] and Rammasun became a typhoon.[32] The LLCC consolidated while convective banding became well defined and tightly wrapped. During July 14, both the JTWC and the JMA upgraded Rammassun to a typhoon after Dvorak estimates from various agencies suggested maximum sustained winds of 65 knots (120 km/h; 75 mph).[33][34]

Shortly before its Philippine landfall, Rammasun developed a 10 nautical miles (19 km; 12 mi) wide eye. The storm had vigorous equatorward and westward outflow. At that time, the storm was peaking at 80 knots (150 km/h; 92 mph) 1-minute sustained winds[35] and 75 knots (139 km/h; 86 mph) 10-minute sustained winds.[36] Though initially expect to maintain that intensity and make landfall before weakening into a tropical storm again due to land interaction, Rammasun further intensified. Some six hours later, the JTWC spotted a 20 nautical miles (37 km; 23 mi) eye, twice as wide as previously reported. The 1-minute sustained winds were set at 100 knots (190 km/h; 120 mph), equivalent to Category 3 of the Saffir-Simpson Hurricane Wind Scale (SSHWS).[37] Rammasun continued to strengthen, despite land interaction. Post landfall, the storm's windspeed continued to rise, as it was located in a very favorable environment. JTWC initially reported winds of 110 knots (205 km/h; 125 mph) 1-minute sustained winds[38] before correcting it to 115 knots (215 km/h; 130 mph) in their best track, making it a Category 4-equivalent typhoon.[39]
By 00:00 UTC on July 16, Rammasun's eye had re-emerged into the South China Sea. The typhoon lost its eye feature due to its interaction with Philippine's rugged terrain. The convective structure had slightly degraded. However, convective banding remained tightly wrapped around the LLCC.[40]
On July 18, Rammasun entered another area of very warm sea-surface temperatures. Consequently, Rammasun rapidly deepened and was upgraded to a Category 4 super typhoon by the JTWC,[41][42] which was upgraded to Category 5 in post-season reanalysis. Later that day, Rammasun made landfall over Hainan at peak intensity,[43] making it one of only two typhoons to make landfall at Category 5-equivalent intensity in China.[44] During landfall, a station on Qizhou Island recorded a sea level pressure of 899.2 millibars, the lowest sea level pressure recorded in China and one of the lowest recorded sea level pressures in the world.[45] The next day, the storm started to weaken. Later that day, both agencies downgraded Rammasun to a tropical storm as it moved to the province of Guangxi and made its third landfall.[46][47] The JTWC made its final warning on the system in the night of the same day. Early on July 20, the JMA reported that Rammasun had weakened into a tropical depression before it was last noted later that day over the Chinese Province of Yunnan.[48][49][50]

Preparations and impact
Mariana Islands
On July 10, as the JTWC initiated advisories on the system, the United States National Weather Service Weather Forecast Office in Tiyan, Guam (NWS Guam) issued a tropical storm watch for Guam, Rota, Tinian, Saipan and surrounding waters out to 75 km (45 mi).[51] Later that day the Governor of Guam Eddie Calvo, declared the island nation to be in Tropical Cyclone Condition of Readiness 3 (TCCOR 3), as the strongest winds over the island were expected to peak between 80–95 km/h (50–60 mph).[52] Both of these warnings meant that destructive tropical storm force winds were possible on the islands during the next 48 hours.[51] After the system was declared a tropical storm, tropical storm warnings were issued for Guam and Rota, while TCCOR 2 was declared for Guam.[53][54][55] After TCCOR 2 was declared, all of the non essential agencies of the Guam Government and several business were shut down, including the Judiciary and University.[54][55][56][57] Six elementary schools around the island were used as storm shelters, while woman who had been pregnant for more than 38 weeks and or high risk were asked to report to the Guam Memorial Hospital.[54] A TCCOR 1 was subsequently declared during July 11, as destructive winds were expected to impact the island nation within twelve hours.[57] As a result, all outdoor activity was prohibited until early the next day when the watches and warnings were cancelled after the system was downgraded to a tropical depression.[58][59] Eddie Calvo subsequently reverted the TCCOR for Guam to the seasonal TCCOR, as no damaging or destructive winds were expected to affect Guam as the depression moved through the Rota Channel.[60] NWS Guam subsequently noted that heavy thunderstorms had developed near the center of the system as it moved through the Rota Channel and that the weather over Guam could have been a lot worse.[27]
Philippines
Rank | Storm | Season | Damage | Ref. | |
---|---|---|---|---|---|
PHP | USD | ||||
1 | Yolanda (Haiyan) | 2013 | ₱95.5 billion | $2.2 billion | [61] |
2 | Odette (Rai) | 2021 | ₱47.6 billion | $951 million | [62] |
3 | Pablo (Bopha) | 2012 | ₱43.2 billion | $1.06 billion | [63] |
4 | 2014 | ₱38.6 billion | $771 million | [64] | |
5 | Ompong (Mangkhut) | 2018 | ₱33.9 billion | $627 million | [65] |
6 | Pepeng (Parma) | 2009 | ₱27.3 billion | $581 million | [66] |
7 | Ulysses (Vamco) | 2020 | ₱20.2 billion | $417 million | [67] |
8 | Crising (Wipha) | 2025 | ₱19.7 billion | $399 million | [68] |
9 | Kristine (Trami) | 2024 | ₱18.4 billion | $373 million | [69] |
10 | Rolly (Goni) | 2020 | ₱17.9 billion | $369 million | [70] |

Rammasun (known as "Glenda" in the Philippines) was the first typhoon to impact the Philippines in over eight months, the previous being Typhoon Haiyan. Preparations for Rammasun started in the island nation, early on July 14.[71] In the wake of the storm, The National Transmission Corporation of the country said in their statement, "Preparations included ensuring the reliability of communications equipment, availability of hardware materials and supplies necessary for the repair of damages to facilities, as well as the positioning of line crews in strategic areas, to facilitate immediate restoration work."[72] Storm warning signal number 3 was hoisted over Catanduanes, while signal number 2 was raised over areas such as Camarines Norte, Burias Island, Ticao Island, Marinduque, and southern Quezon.[73] Several islands in southern Luzon and eastern western, and central Visayas were put under storm signal number 1. Over 12 million people, in all, were asked to brace for the typhoon. Classes on all levels were reportedly suspended for the next two days.[74] Philippine National Disaster Risk Reduction and Management Council's head Alexander Pama, in an interview, said "We are already warning the public to be on alert for possible effects of the weather disturbance: landslides, flash floods, strong rains and winds." more than 1,300 villages were advised about floods or landslides. The Embassy of the United States in Manila cancelled non-immigrant visa applicant interviews scheduled for July 15 and 16. All applicants were asked to reschedule their interviews.[75]
The Philippine Coast Guard asked all shipping vessels to refrain from travelling. Spokesperson Armand Balilo said "Authorities are already on standby to prevent any maritime vessels from sailing as the Philippines braces for Glenda (Ramassun).[76] Department of the Interior and Local Government Director Edgar Tabell said "All DILG offices in Luzon and Eastern Visayas have been activated to prepare for Glenda. Evacuation centers have been prepared and power lines, bridges and roads have also been checked." He also asked all local officials to fully cooperate with them and provide support to the residents.[77] As the typhoon neared the coastline of Philippines, the entire nation was put on red alert.[78] By the early hours of July 15, the government reportedly evacuated eastern coastal areas of the nation. PAGASA said "Storm surges of up to three meters were expected in coastal villages."[79] However, that evening, several other residents fled their homes as the typhoon intensified much more than anticipated.[80] The civil defence chief of Bicol, in an interview said "We are preparing for the worst... it is critical now that we finish the evacuations. About 6,000 residents had already moved to evacuation centres, with authorities aiming to have another 39,000 take shelter before the typhoon hits.[81] Several cities were warned of storm surge ranging from 1.5 metres (4 ft 11 in) to 3 metres (9.8 ft).[82]
Immediately after the landfall, three fishermen were reported missing. They were reported to have gone out fishing a day ago from the Philippine province of Catanduanes, and failed to return.[83] A wall collapse in Quezon City injured two people.[84]
At least 90% of the total residents of Metro Manila lost power, as poles were toppled and lines downed. The National Grid Corporation of the Philippines posted on Twitter, saying "Around 90% of Meralco’s franchise area is experiencing power outage brought about by downed poles, lines and outages of NGCP’s (National Grid Corporation of the Philippines) transmission lines due to Typhoon Glenda."[85] Strong winds from the storm destroyed several homes in the slums. Most of the capital area was also completely shut down.[86] In total, Rammasun killed 106 people and caused a damage up to Php38.6 billion (US$885 million).[87]
Highest Public Storm Warning Signal
PSWS# | LUZON | VISAYAS | MINDANAO |
---|---|---|---|
PSWS #3 | Catanduanes, Albay, Sorsogon | Northern Samar | NONE |
PSWS #2 | Camarines Norte, Camarines Sur, Masbate incl. Burias and Ticao Islands, Marinduque, Southern Quezon | Northern part of Samar, Northern part of Eastern Samar | NONE |
PSWS #1 | Romblon, Occidental Mindoro, Oriental Mindoro, Lubang Island, Batangas, Cavite, Laguna, Rizal, Bulacan, Pampanga, Bataan, Zambales, Tarlac, Nueva Ecija, Pangasinan, Southern Aurora, rest of Quezon incl. Polillo Island, Metro Manila | rest of Eastern Samar, rest of Samar, Northern Leyte incl. Biliran Island | NONE |
Hong Kong
Late on July 16, the Hong Kong Observatory issued the Typhoon Standby Signal No. 1, before issuing the Typhoon Signal Number 3 during the next day as local winds strengthened gradually from the east.[88] Gale-force winds were subsequently recorded offshore and on higher ground, before it made its closest point of approach during July 18, as it passed around 390 km (240 mi) to the southwest of Hong Kong.[88] Winds over the region gradually subsided before the signals were cancelled by the HKO early on July 19.[88] Over the region at least 51 trees were blown down while there were several reports of fallen objects including a lamp post on the Tsuen Wan flyover.[88]
China

On July 17, Rammasun made landfall near Wenchang City on the island province of Hainan. The city's mayor, Liu Chun-mei, told the Xinhua News Agency that many houses had been damaged and more than 700,000 people evacuated. Qionghai also suffered heavy damage. Hainan closed all its airports while kindergartens and other schools were shut. Resorts in Hainan were ordered to close and the high speed train in Guangdong bound for Hainan suspended. The typhoon killed one person on the island[89] and injured 21. Waves reached up to 13 m (43 ft) on the northern and eastern coasts of the island and the Leizhou Peninsula.[90] The local government dispatched 66 officials in 13 locales to supervise preparations for the typhoon. Xinhua reported that 6,000 people on Hainan were evacuated. Bus companies also suspended operations due to heavy rains and high winds.[91]
51,000 homes were destroyed in Hainan.[92] 88 people were killed in China while total economic losses were counted to be CNY 44.33 billion (US$7.14 billion).[93]
Vietnam
Vietnamese authorities ordered an evacuation of people from parts of the northern coast of the country on July 18 in preparation for Rammasun.[94] Typhoon Rammasun affected the nearby provinces of Haiphong, Thái Bình, and Nam Định. The officials of Quảng Ninh Province have evacuated more than 1,300 people to safe shelters. Prime Minister Nguyễn Tấn Dũng ordered authorities to help in evacuation and "require all boats to remain close to the shore". He commanded the army to install its forces in the areas for possible search and rescue operations.[95] Heavy rains caused minor flooding in urban areas of Hai Phong and the capital, Hanoi. It also submerged the streets of Nguyen Khuyen, Minh Khai, Truong Dinh and Hang Chuoi. Duong Anh Dien, a government official, told Tuoi Tre that he ordered the cancellation of "all administrative meetings". Residents near the coast areas were evacuated to the nearest designated evacuation sites. All vessels and boats were banned from leaving port. The National Center for Hydro-Meteorological Forecasting said the eye of the storm was about 210 kilometers east of Hoàng Sa with wind speeds reaching 149 kilometers per hour. The mountainous province of Bắc Kạn, Cao Bằng, Lai Chau, Lạng Sơn and Lào Cai were put on high alert for flash floods and landslides. Over twenty flights by Vietnam Airlines were cancelled or delayed at Noi Bai International Airport. The trade department reserved foods and goods to assure support for at least 250,000 people in case of an emergency.[96][97] Overall, around 500 homes were damaged. Throughout Vietnam, Rammasun is responsible for 31 deaths had caused damages of 1.26 trillion VND (US$59 million).[98]
Retirement
After the system had caused damage to the Philippines, China and Vietnam, the name Rammasun was retired at the Third Joint Session of the ESCAP/WMO Typhoon Committee and WMO/ESCAP Panel on Tropical Cyclones during 2015.[99] In February 2016, Thailand provided replacement names for Rammasun, and a month later, the name Bualoi was chosen to replace it,[100] and was used for the first time in 2019.
The name Glenda was also retired by PAGASA after damages had exceeded ₱1 billion, while the name Gardo was selected (and taken out from the fourth auxiliary list of typhoon names, only to be replaced by the name Gomer) to replace Glenda for the 2018 season.[101][102]
See also
- Weather of 2014
- Tropical cyclones in 2014
- Typhoons in the Philippines
- Typhoon Imbudo (2003)
- Typhoon Xangsane (2006)
- Typhoon Nesat (2011)
- Typhoon Utor (2013)
- Typhoon Haiyan (2013)
- Typhoon Hagupit (2014)
- Typhoon Sarika (2016)
- Typhoon Vera (1983) – Had a similar track
- Typhoon Vicente (2012)
- Typhoon Son-Tinh (2012)
- Typhoon Mujigae (2015)
- Typhoon Melor (2015)
- Typhoon Goni (2020) – A powerful typhoon which struck similar locations in the Philippines
- Typhoon Rai (2021) – Another destructive typhoon which also intensified to a Category 5 equivalent typhoon in the South China Sea
- Tropical Storm Nalgae (2022)
- Typhoon Yagi (2024) – Most recent destructive typhoon which also intensified to a Category 5-equivalent typhoon in the South China Sea before it made a major landfall in Hainan.
- Tropical Storm Wutip (2025)
References
- ^ "Tropical depression near Guam may bring rain, wind". Taipei Times. Retrieved 13 July 2014.
- ^ "Typhoon Threat in the Philippines Next Week". The Weather Channel. Archived from the original on 13 July 2014. Retrieved 12 July 2014.
- ^ "Tropical Storm Rammasun Approaches Philippine Capital Manila". The Wall Street Journal. Retrieved 14 July 2014.
- ^ "Governor declares Condition of Readiness 3". Kuam. Retrieved 13 July 2014.
- ^ "NASA sees Tropical Storm 9 over Guam". Science Codex. 11 July 2014. Retrieved 13 July 2014.
- ^ "Guam dodging 09W was 'shear' luck". Guam PDM. Archived from the original on 15 July 2014. Retrieved 13 July 2014.
- ^ "Rammasun to Strengthen, Threaten the Philippines". AccuWeather. Archived from the original on 12 July 2014. Retrieved 13 July 2014.
- ^ "氣象局發布麥德姆陸警 全台慎防強風驟雨". NOWnews. Retrieved 21 July 2014.
- ^ "Tropical Storm Rammasun could affect Taiwan on Wednesday". Focus Taiwan. 14 July 2014. Retrieved 14 July 2014.
- ^ "Typhoon Rammasun Nears the Philippines; Late-Week Threat to Southern China". Weather.com. Archived from the original on 15 July 2014. Retrieved 14 July 2014.
- ^ "GLENDA UPDATE: Typhoon Glenda intensifies; More areas under storm signal". Inter Aksyon. Archived from the original on 15 July 2014. Retrieved 14 July 2014.
- ^ "109,000 families evacuated as 'Glenda' nears Albay". Manila Bulletin. Retrieved 15 July 2014.
- ^ "More than 50 flights cancelled due to 'Glenda'". Inquirer. 15 July 2014. Retrieved 15 July 2014.
- ^ "Gov't hospitals 'doubly prepared' for #GlendaPH". Rappler. Retrieved 15 July 2014.
- ^ "Albay city under state of calamity". Rappler. Retrieved 15 July 2014.
- ^ "Typhoon Glenda makes landfall over Sorsogon". GMA News. 15 July 2014. Retrieved 15 July 2014.
- ^ "Power outage hits parts of Metro Manila". Inquirer. 16 July 2014. Retrieved 16 July 2014.
- ^ "#GlendaPH's wrath in Laguna". 18 July 2014.
- ^ "NDRRMC SitRep 8 on Glenda" (PDF). NDRRMC Philippines. Archived from the original (PDF) on 20 July 2014. Retrieved 16 July 2014.
- ^ a b Joint Typhoon Warning Center (July 9, 2014). "Significant Tropical Weather Advisory for the Western and Southern Pacific Oceans July 9, 2014 06z". United States Navy, United States Airforce. Archived from the original on May 23, 2024. Retrieved July 15, 2014.
- ^ Joint Typhoon Warning Center (July 10, 2014). "Significant Tropical Weather Advisory for the Western and Southern Pacific Oceans July 10, 2014 01:30z". United States Navy, United States Airforce. Archived from the original on May 23, 2024. Retrieved July 15, 2014.
- ^ "JMA WWJP25 Warning and Summary July 10, 2014 00z". Japan Meteorological Agency. July 10, 2014. Archived from the original on May 22, 2024. Retrieved July 15, 2014.
- ^ Joint Typhoon Warning Center (July 10, 2014). "Prognostic Reasoning for Tropical Depression 09W Warning No 1, July 10, 2014 15z". United States Navy, United States Airforce. Archived from the original on May 23, 2024. Retrieved July 15, 2014.
- ^ Joint Typhoon Warning Center (July 11, 2014). "Prognostic Reasoning for Tropical Storm 09W Warning No 3, July 11, 2014 03z". United States Navy, United States Airforce. Archived from the original on May 23, 2024. Retrieved July 15, 2014.
- ^ a b Joint Typhoon Warning Center (July 11, 2014). "Prognostic Reasoning for Tropical Depression 09W Warning No 6, July 11, 2014 21z". United States Navy, United States Airforce. Archived from the original on May 23, 2024. Retrieved July 15, 2014.
- ^ "RSMC Tropical Cyclone Advisory July 12, 2014 06z". Japan Meteorological Agency. July 12, 2014. Archived from the original on May 23, 2024. Retrieved July 19, 2014.
- ^ a b Weather Forecast Office in Tiyan, Guam (July 12, 2014). "Area Forecast Discussion July 12, 2014 06z". United States National Oceanic and Atmospheric Administration's National Weather Service. Archived from the original on June 12, 2022. Retrieved July 19, 2014.
- ^ Joint Typhoon Warning Center (July 11, 2014). "Prognostic Reasoning for Tropical Storm 09W Warning No 9, July 12, 2014 15z". United States Navy, United States Airforce. Archived from the original on May 23, 2024. Retrieved July 15, 2014.
- ^ "SEVERE WEATHER BULLETIN NUMBER ONE". PAGASA. 13 July 2014. Archived from the original on 14 July 2014. Retrieved 13 July 2014.
- ^ "Prognostic Reasoning for Warning 13 on Typhoon Rammasun". JTWC. Archived from the original on 23 May 2024. Retrieved 14 July 2014.
- ^ "Prognostic Reasoning for Warning 15 on Typhoon Rammasun". JTWC. Archived from the original on 23 May 2024. Retrieved 14 July 2014.
- ^ "JMA Advisory WTPQ21 RJTD 140000". JMA. Archived from the original on 23 May 2024. Retrieved 14 July 2014.
- ^ "Prognostic Reasoning for Warning 06 on Typhoon Rammasun". JTWC. Archived from the original on 23 May 2024. Retrieved 14 July 2014.
- ^ "JMA Advisory WTPQ21 RJTD 141200". JMA. Archived from the original on 6 October 2014. Retrieved 14 July 2014.
- ^ "Prognostic Reasoning for Warning 19 on Typhoon Rammasun". JTWC. Archived from the original on 23 May 2024. Retrieved 15 July 2014.
- ^ "JMA Advisory WTPQ21 RJTD 150300". JMA. Archived from the original on 23 May 2024. Retrieved 15 July 2014.
- ^ "Prognostic Reasoning for Warning 20 on Typhoon Rammasun". JTWC. Archived from the original on 6 October 2014. Retrieved 15 July 2014.
- ^ "Prognostic Reasoning for Warning 021 on Typhoon Rammasun". JTWC. Archived from the original on 23 May 2024. Retrieved 16 July 2014.
- ^ "JTWC running best track for Typhoon Rammasun". US Navy. Archived from the original on 1 September 2021. Retrieved 16 July 2014.
- ^ "Prognostic Reasoning for Warning 23 on Typhoon Ramasun". JTWC. Archived from the original on 23 May 2024. Retrieved 16 July 2014.
- ^ "NASA sees super typhoon Rammasun eyeing landfall". Rob Gutro, NASA. Retrieved July 18, 2014.
- ^ "capeweather". Archived from the original on August 11, 2014. Retrieved July 18, 2014.
- ^ "Super typhoon Rammasun makes landfall in S. China's Hainan". CCTV.com. Archived from the original on July 26, 2014. Retrieved July 18, 2014.
- ^ Masters, Jeff; Henson, Bob (September 14, 2016). "Meranti Approaches China Coast After Sweeping Past Taiwan". Retrieved November 12, 2016.
- ^ Cai, Qinbo; Xu, Yinglong (2016). "An analysis of Super typhoon Rammasun's(2014) peak intensity". EGU General Assembly Conference Abstracts. 18: EPSC2016-13654. Bibcode:2016EGUGA..1813654C.
- ^ "Super Typhoon RAMMASUN has weakened into a severe tropical storm level". Retrieved July 19, 2014.
- ^ "Rammasun weakens, heavy downpours expected". VOVNews. Archived from the original on July 27, 2014. Retrieved July 19, 2014.
- ^ "RSMC Tropical Cyclone Advisory July 20, 2014 00z". Japan Meteorological Agency. July 20, 2014. Archived from the original on May 23, 2024. Retrieved July 20, 2014.
- ^ "JMA WWJP25 Warning and Summary July 20, 2014 00z". Japan Meteorological Agency. July 20, 2014. Archived from the original on May 23, 2024. Retrieved July 20, 2014.
- ^ "JMA WWJP25 Warning and Summary July 20, 2014 06z". Japan Meteorological Agency. July 20, 2014. Archived from the original on May 23, 2024. Retrieved July 20, 2014.
- ^ a b Williams, Derek L (July 10, 2014). "Tropical Depression 09W Advisory Number 1, July 10, 2014 15z". Weather Forecast Office in Tiyan, Guam. United States National Oceanic and Atmospheric Administration's National Weather Service. Archived from the original on May 23, 2024. Retrieved July 19, 2014.
- ^ Matanane, Sabrina Salas (July 10, 2014). "Governor declares Condition of Readiness 3". Kuam News. Retrieved July 13, 2014.
- ^ Ziobro, Michael P (July 11, 2014). "Tropical Storm 09W Advisory Number 3, July 11, 2014 03z". Weather Forecast Office in Tiyan, Guam. United States National Oceanic and Atmospheric Administration's National Weather Service. Archived from the original on May 23, 2024. Retrieved July 19, 2014.
- ^ a b c Matanane, Sabrina Salas (July 11, 2014). "Depression 09W Now a Tropical Storm". Kuam News. Retrieved July 19, 2014.
- ^ a b Matanane, Sabrina Salas (July 11, 2014). "Guam now in Condition of Readiness 2". Kuam News. Retrieved July 19, 2014.
- ^ Matanane, Sabrina Salas (July 11, 2014). "Closures announced for storm". Kuam News. Retrieved July 19, 2014.
- ^ a b Paine, Malorie (July 12, 2014). "Storm to hit Guam: Governor declares Condition of Readiness 1". Pacific Daily News. Archived from the original on July 26, 2014. Retrieved July 19, 2014.
- ^ Middlebrooke, Michael G (July 11, 2014). "Tropical Depression 09W Advisory Number 6, July 11, 2014 21z". Weather Forecast Office in Tiyan, Guam. United States National Oceanic and Atmospheric Administration's National Weather Service. Archived from the original on May 23, 2024. Retrieved July 19, 2014.
- ^ Matanane, Sabrina Salas (July 12, 2014). "Tropical Storm Warning canceled for Guam & Rota". Kuam News. Retrieved July 19, 2014.
- ^ "Governor declares Condition of Readiness 4, tropical storm warning canceled". Pacific Daily News. July 12, 2014. Archived from the original on July 20, 2014. Retrieved July 19, 2014.
- ^ del Rosario, Eduardo D. (April 2014). FINAL REPORT Effects of Typhoon YOLANDA (HAIYAN) (PDF) (Report). NDRRMC. Retrieved 14 March 2015.
- ^ Final Report for Tropical Cyclone Odette 2021 (PDF) (Report). NDRRMC. May 2022. Retrieved 16 May 2022.
- ^ Uy, Leo Jaymar G.; Pilar, Lourdes O. (8 February 2018). "Natural disaster damage at P374B in 2006-2015". Business World. Retrieved 8 February 2018 – via PressReader.
- ^ Ramos, Benito T. (16 September 2014). FINAL REPORT re Effects of Typhoon (PDF) (Report). NDRRMC. Retrieved 17 September 2014.
- ^ Jalad, Ricardo B. (5 October 2018). Situational Report No.55 re Preparedness Measures for TY OMPONG (I.N. MANGKHUT) (PDF) (Technical report). NDRRMC. Retrieved 7 October 2018.
- ^ Rabonza, Glenn J. (20 October 2009). FINAL Report on Tropical Storm \"ONDOY\" {KETSANA} and Typhoon \"PEPENG\ (PDF) (Report). NDRRMC. Retrieved 23 October 2010.
- ^ Jalad, Ricardo B. (January 13, 2021). SitRep no. 29 re Preparedness Measures and Effects for TY ULYSSES (PDF). ndrrmc.gov.ph (Report). Retrieved January 15, 2021.
- ^ "Reported death toll due to Crising, Dante, Emong, Habagat now 40 — NDRRMC". GMA News. 6 August 2025. Retrieved 6 August 2025.
- ^ Situational Report No. 37 for Combined Effects of TCs Kristine and Leon (2024) (PDF) (Report). Quezon City, Philippines: National Disaster Risk Reduction and Management Council. December 5, 2024. Retrieved December 5, 2024.
- ^ Jalad, Ricardo B. (November 10, 2020). "SitRep No.11 re Preparedness Measures for Super Typhoon Rolly" (PDF). NDRRMC. Retrieved November 10, 2020.
- ^ "Philippines: Typhoon Rammasun To Hit Archipelago Tuesday". The Global Dispatch. Archived from the original on 16 July 2014. Retrieved 14 July 2014.
- ^ "NGCP braces power grid for Glenda onslaught". GMA Network. 14 July 2014. Retrieved 14 July 2014.
- ^ "Strong tropical storm to make landfall in N. Philippines Tuesday". Xinhua. Retrieved 14 July 2014.
- ^ "Catanduanes under signal no 3 as #GlendaPH strengthens". Rappler. Retrieved 14 July 2014.
- ^ "US Embassy cancels nonimmigrant visa interviews Wednesday due to Glenda". GMA News. 14 July 2014. Retrieved 14 July 2014.
- ^ "#GlendaPH: Coast Guard restricts ships to port". Rappler. Retrieved 14 July 2014.
- ^ "NDRRMC chief urges local officials to seek help". Inquirer. 14 July 2014. Retrieved 14 July 2014.
- ^ "Typhoon Rammasun Puts Philippines on Red Alert". Wall Street Journal. Retrieved 15 July 2014.
- ^ "Philippines evacuates coastal areas as typhoon aims for Manila". Chicago Tribune. Retrieved 15 July 2014.
- ^ "Thousands flee in Philippines as typhoon strengthens". Hiru News. Retrieved 15 July 2014.
- ^ "Philippines typhoon strengthens". Bangkok Post. Retrieved 15 July 2014.
- ^ "23 municipalities that could experience storm surges with Typhoon Glenda". inter Aksyon. Archived from the original on 15 July 2014. Retrieved 15 July 2014.
- ^ "Three missing as Typhoon Rammasun lands on N. Philippines". Shanghai Daily. Retrieved 15 July 2014.
- ^ "Typhoon Rammasun / Glenda over Manila". West Pac WX. Archived from the original on 20 July 2014. Retrieved 16 July 2014.
- ^ "Power cut off in Manila as Glenda zaps 90% of Meralco franchise area". GMA News. 16 July 2014. Retrieved 16 July 2014.
- ^ "Deadly typhoon shuts down Philippine capital". My sinchew. Retrieved 16 July 2014.
- ^ Ramos, Benito T. (16 September 2014). FINAL REPORT re Effects of Typhoon (PDF) (Report). NDRRMC. Retrieved 17 September 2014.
- ^ a b c d Super Typhoon Rammasun (1409) (Report). Hong Kong Observatory. August 4, 2014. Retrieved February 15, 2015.
- ^ "Typhoon Rammasun Hits China, Kills One". NBC News. 19 July 2014. Retrieved July 19, 2014.
- ^ "Super typhoon slams China". Usatoday.com. Retrieved 2014-07-19.
- ^ "Super Typhoon Rammasun bears down on southern China". CNN.com. 1962-09-01. Retrieved 2014-07-19.
- ^ "China hit by Rammasun, death toll and costs of damage climb". Shanghai News.Net. Archived from the original on 30 July 2014. Retrieved 21 July 2014.
- ^ "Member Report: China" (PDF). CMA. China Meterelogical Agency. Retrieved October 18, 2014.
- ^ "Vietnam orders evacuation along northern coastlines ahead of typhoon Rammasun". Tuoitrenews.vn. Retrieved 2014-07-19.
- ^ Sunday, 20 July 2014. "Viet Nam braces for Typhoon Rammasun - Society - VietNam News". Vietnamnews.vn. Retrieved 2014-07-19.
{{cite web}}
: CS1 maint: numeric names: authors list (link) - ^ "Super Typhoon Headed for Vietnam". Voice of America. 18 July 2014. Retrieved 2014-07-19.
- ^ "Rains pound northern Vietnam ahead of Typhoon Rammasun landfall | Society | Thanh Nien Daily". Thanhniennews.com. 2014-07-18. Archived from the original on July 26, 2014. Retrieved 2014-07-19.
- ^ 2014 VIETNAM REPORT
- ^ China Meteorological News Press (February 15, 2015). "ESCAP/WMO Typhoon Committee meeting formed new Secretary-general and President". China Meteorological Administration. Archived from the original on February 21, 2015. Retrieved February 21, 2015.
- ^ "Replacement Name of RAMMASUN in the Tropical Cyclone Naming List" (PDF). ESCAP/WMO Typhoon Committee. Retrieved February 17, 2016.
- ^ "PAGASA replaces names of 2014 destructive typhoons" (Press release). Philippine Atmospheric, Geophysical and Astronomical Services Administration. February 5, 2015. Archived from the original on February 15, 2015. Retrieved February 15, 2015.
- ^ "Pagasa kills names of killer typhoons". Philippine Daily Inquirer. February 8, 2015. Archived from the original on February 9, 2015. Retrieved February 9, 2015.
External links

- JMA General Information of Typhoon Rammasun (1409) from Digital Typhoon
- JMA Best Track Data of Typhoon Rammasun (1409) (in Japanese)
- JMA Best Track Data (Graphics) of Typhoon Rammasun (1409)
- JMA Best Track Data (Text)
- 09W.RAMMASUN Archived 2018-07-24 at the Wayback Machine from the U.S. Naval Research Laboratory